HUMBERTO nächster starker Hurrikan
Mitten auf dem Atlantik verstärkt sich derzeit der Hurrikan HUMBERTO, der sich rasch zum nächsten starken Hurrikan entwickelt. Aktuell reichen die mittleren Windgeschwindigkeiten bis etwa 150 km/h, sie dürften sich am Wochenende auf weit über 200 km/h steigern. Damit erreicht der Hurrikan mindestens die Stärke 4 auf der fünfteiligen Skala. Zum Glück bleibt der Hurrikan auf dem offenen Meer. Und bei den Bahamas könnte noch an diesem Wochenende ein weiterer Sturm entstehen. Der nächste Namen auf der Liste ist IMELDA.

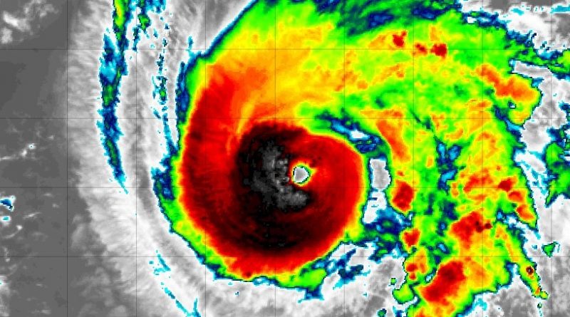
Das Satellitenbild zeigt eindrucksvoll das Auge im Zentrum des Hurrikans. Die so genannte Eyewall – der Ring um das Auge mit den stärksten Wettererscheinungen – ist dabei noch nicht in allen Teilen gut ausgeprägt.

Nach Berechnungen nahezu aller vorliegenden Modelle dreht der Hurrikan nach Nordwesten bis Norden ein. Dies zeigt auch die Zugbahnkarte des National Hurricane Centers in Miami/Florida. Dabei verstärkt er sich zunächst sehr rasch und dreht im weiteren Verlauf unter Abschwächung nach Nordosten ein.
Update 27.09.2025: Inzwischen hat HUMBERTO mit mittleren Windgeschwindigkeiten bis etwa 260 km/h die höchste Kategorie 5 der Hurrikanskala erreicht. Damit ist HUMBERTO der 44. Hurrikan der höchsten Kategorie auf dem Nordatlantik seit Beginn der Aufzeichnungen. Allein 12 davon traten seit 2017 auf – eine extreme Häufung. Es ist das zweite Jahr in Folge mit mindestens zwei Kategorie-5-Hurrikanen. Das gab es zuletzt 1932/33.
Der ehemalige Hurrikan GABRIELLE wandelte sich zum Freitag in ein außertropisches Tief um und überquerte dabei Teile der Azoren. Auf der Insel Terceira Island wurde an einer Wetterstation in 269 Meter Höhe ein Mittelwind von 114 km/h und eine Spitzenböe von 138 km/h gemessen. Reste des Sturms können noch Portugal erreichen, sind aber nicht mehr gefährlich.
Titelbild: Tropical Tidbits
Ausführliche Informationen zu Unwettern aller Art und anderen Naturgewalten gibt es auf meiner umfangreichen Internetseite:
