Wetter allgemein



Milder Winter mit Schneeeinlagen
Auch der Winter 2025/26 fiel milder aus als im langjährigen Mittel, es war bereits der 15. Winter in Folge mit
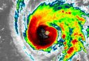
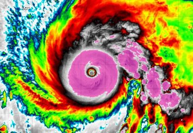
Tropen



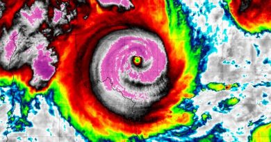
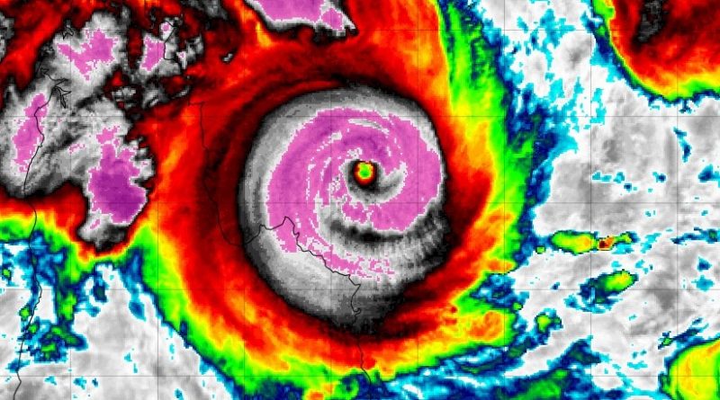
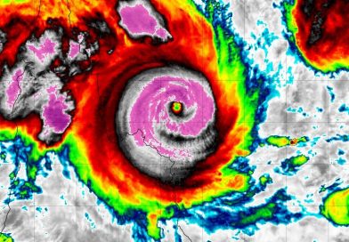
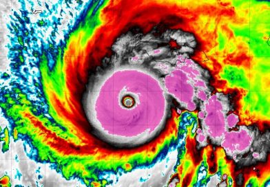
Zyklon NARELLE trifft Australien
Auf der Südhalbkugel ist die Wirbelsturmsaison weiterhin in vollem Gange, bisher hielt sich die Aktivität aber noch weitgehend in Grenzen.
Tornados



Mindestens 43 Tornados in 2023
Am Wochenende (16.03.2024) fand eine Nachbesprechung der Tornado-Arbeitsgruppe Deutschland zur Tornadosaison im vergangenen Jahr statt, zahlreiche Fälle konnten diskuriert und
Erdbeben



Sehr schweres Erdbeben bei Tonga
Am Dienstag hat gegen 05:38 Uhr MEZ (= 17:38 Uhr Ortszeit) ein sehr schweres Erdbeben den Meeresboden bei Tonga im



















