Wetter allgemein



September im Norden warm, Südwesten nass
Der erste Herbstmonat des Jahres 2025 fiel sehr unterschiedlich aus. In Norddeutschland war er deutlich wärmer als im Mittel und
Tropen



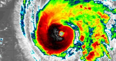
HUMBERTO nächster starker Hurrikan
Mitten auf dem Atlantik verstärkt sich derzeit der Hurrikan HUMBERTO, der sich rasch zum nächsten starken Hurrikan entwickelt. Aktuell reichen
Tornados



Mindestens 43 Tornados in 2023
Am Wochenende (16.03.2024) fand eine Nachbesprechung der Tornado-Arbeitsgruppe Deutschland zur Tornadosaison im vergangenen Jahr statt, zahlreiche Fälle konnten diskuriert und
Erdbeben



Sehr schweres Erdbeben in der Drake-Passage
Am Freitag hat gegen 22:29 Uhr MESZ (16:29 Uhr Ortszeit) erneut ein sehr schweres Erdbeben den Meeresboden in der Drake-Passage