Starker Hurrikan GABRIELLE
Wochenlang tat sich gar nichts auf dem Nordatlantik, dann entstand vor einigen Tagen der zunächst nur schwache Sturm GABRIELLE, der sich nun unter sehr günstigen Bedingungen explosionsartig zu einem starken Hurrikan mit mittleren Windgeschwindigkeiten bis etwa 200 km/h und noch wesentlich stärkeren Böen verstärkte und heute noch stärker werden kann. Der Hurrikan streift auf seinem Weg nach Norden Bermuda nur mit seinem äußersten Rand, könnte aber am Donnerstag unter Abschwächung Teile der Azoren treffen. Gleichzeitig tobt auf dem Nordwestpazifik der Supertaifun RAGASA.

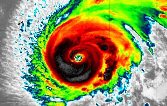
Das Satellitenbild zeigt eindrucksvoll das Auge im Zentrum des Hurrikans. Die so genannte Eyewall – der Ring um das Auge mit den stärksten Wettererscheinungen – ist dabei noch nicht in allen Teilen gut ausgeprägt.

Nach Berechnungen nahezu aller vorliegenden Modelle dreht der Hurrikan nach Nordosten bis Osten ein. Dies zeigt auch die Zugbahnkarte des National Hurricane Centers in Miami/Florida. Am Donnerstag und in der Nacht zum Freitag könnte der Hurrikan Teile der Azoren treffen oder zumindest streifen. GABRIELLE ist der 7. Sturm der diesjährigen Hurrikansaison auf dem Atlantik undder zweite Hurrikan. Zuvor hatte sich ERIN zu einem extrem starken Hurrikan der höchsten Kastegorie entwickelt.

Unterdessen hat der Supertaifun RAGASA mit mittleren Windgeschwindigkeiten bis etwa 230 km/h den Norden der philippinischen Insel Luzon gestreift und zieht weiter nach Westen zum Südchinesischen Meer. Hier schwächt sich der Taifun zwar langsam ab, bleibt aber sehr gefährlich und könnte in den kommenden Tagen auf den Süden Chinas treffen. Hier drohen neben den hohen Windgeschwindigkeiten vor allem schwere Überschwemungen.

Die Zugbahnkarte des Joint Typhoon Warning Center lässt erahnen, wie knapp der Taifun an Luzon vorbeigezogen ist. Zumindest starke Regenfälle bringen die Gefahr von Überschwemmungen und Erdrutschen mit sich. Wo genau der Taifun auf den Süden Chinas Trifft, ist noch unsicher. Mit NEOGURI ist auf dem Pazifik noch ein weiterer Taifun unterwegs, er bedroht aber kein Land.
Titelbild: Tropical Tidbits
Ausführliche Informationen zu Unwettern aller Art und anderen Naturgewalten gibt es auf meiner umfangreichen Internetseite:
