Ein Hurrikan für die Geschichtsbücher
Wie befürchtet hatte sich der Hurrikan MELISSA zu einem wahren Monstersturm entwickelt, bevor er am Dienstag auf Jamaika und in der Nacht zum Mittwoch auf den Osten Kubas traf. Er richtete schwerste Zerstörungen an und findet sich nun in einigen Rekordlisten wieder. Zuvor hatte es in diesem Jahr noch keine größeren Katastrophen durch Hurrikane gegeben. Dennoch bleibt die Hurrikansaison 2025 durch MELISSA in Erinnerung. Wieder einmal zeigt sich, dass ein katastrophaler Hurrikan für den Eindruck einer schlimmen Saison reicht, der die ganze Saison prägt. Es folgt ein Blick auf die bisher bekannten Rekorde, die MELISSA aufgestellt hat.
Zunächst kurz zur Entwicklung des ungewöhnlichen Hurrikans: Am 19. Oktober zog eine stark ausgepragte tropische Wellenstörung rasch über die Kleinen Antillen hinweg in die Karibik und wurde hier zeitweise fast stationär. Die ungünstigen westlichen Höhenwinde schwächten sich kaum ab, dennoch entstand am 21. Oktober dicht nördlich der niederländischen Antillen der Sturm Melissa, der zunächst schwach blieb und durch den Höhenwind sozusagen „Schieflage“ hatte.
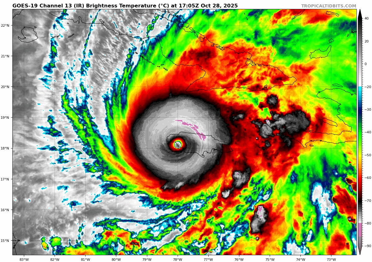
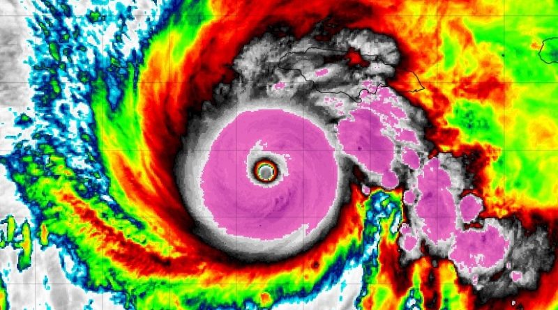
Das Wasser der zentralen Karibik war mit 30 bis 31 Grad extrem warm und lieferte reichlich Energie. Als sich der Höhenwind deutlich abschwächte, setzte am 25. Oktober eine Phase der extremen Verstärkung ein. Am 26. Oktober erreichte der Hurrikan die Kategorie 4 und später sogar die höchste Kategorie der fünfteiligen Hurrikanskala. MELISSA drehte zum 27. Oktober nach Norden ein und wurde immer stärker. Der Hurrikan verstärkte sich, bis er am 28. Oktober bei der Stadt Black River im Südwesten von Jamaika mit mittleren Windgeschwindigkeiten bis etwa 295 km/h und noch deutlich stärkeren Böen auf Land traf. Der Luftdruck im Zentrum sank kurz vor dem „landfall“ auf 892 Hektopascal.

Die Animation der Satellitenbilder zeigt eindrucksvoll das Auge im Zentrum des Hurrikanswährend er den Westen der Insel Jamaika überquerte (Quelle: Tropical Tidbits)
In die Wettergeschichte geht MELISSA durch mehrere Extreme ein, wobei einige Parameter in den kommenden Monaten noch Gegenstand der Forschung sein werden. Gleichauf mit dem Hurrikan DORIAN (2019) und dem so genannten „Labour day Hurricane“ (1935) wies er die höchsten Windgeschwindigkeiten in einem atlantischen Hurrikan seit Beginn der Aufzeichnungen auf. Mit 892 Hektopascal sank der Luftdruck nach WILMA 2005 (882 Hektopascal) und GILBERT 1988 (888 Hektopascal) auf den dritttiefsten Wert, zusammen mit dem Hurrikan von 1935. Schaut man sich den Luftdruck zum Zeitpunkt des Landfalls an, liegt MELISSA zusammen mit dem Hurrikan von 1935 zumindest vorläufig auf Platz 1.
Einen weiteren Rekord stellte MELISSA auf. Während der Flüge werden von der Besatzung Sonden herabgelassen, die Messwerte an das jeweilige Flugzeug übertragen. Eine dieser Sonden meldete einige Hundert Meter über dem Grund eine Windgeschwindigkeit von 219 Knoten, dies entspricht unglaublichen 405 km/h! Dies ist der höchste Wert, der jemals mit einer solchen Sonde gemessen wurde.
Auf der Insel Jamaika war MELISSA mit Abstand der bisher stärkste Hurrikan seit Aufzeichnungsbeginn. Zuletzt hatte Gilbert 1988 die Insel mit der Kategorie 3 getroffen. Ungewöhnlich ist auch die Zugbahn von MELISSA von Süd nach Nord, während die anderen starken Hurrikane zuvor immer von Osten oder Südosten nach Jamaika gezogen waren.

MELISSA war der dritte Hurrikan der höchsten Kategorie 5 in der Saison 2025. Mehr wurden bisher nur einmal registriert – in der extremen Saison 2005. Insgesamt sind seit der Mitte des 19. Jahrhunderts 45 Hurrikane der höchsten Kategorie bekannt. Und zum ersten Mal wurden in zwei aufeinander folgenden Jahren Hurrikane mit einem Kerndruck unter 900 Hektopascal beobachtet – MILTON 2024 und nun MELISSA. Seit Aufzeichnungsbeginn sind erst 7 Hurrikane mit einem Luftdruck unter 900 Hektopascal beobachtet worden.
Der Hurrikan MELISSA überquerte auf seinem Weg nach Norden bis Nordosten den Westen der Insel Jamaika. Dabei streifte er die Stadt Montego Bay. Bei Salt Marsh im Nordwesten des Landes zog er auf den Meer hinaus und erreichte in der Nacht zum 29. Oktober deutlich abgeschwächt mit Windgeschwindigkeiten bis etwa 195 km/h (Kategorie 3) den Osten von Kuba. Damit war es immer noch ein starker Hurrikan, der die Stadt Chivirico westlich von Santiago de Cuba traf. Die Region um Santiago wurde – soweit bekannt – erst zweimal von starken Hurrikanen getroffen. Beide waren aus Richtung Osten herangezogen. Nach Kuba zieht der Hurrikan auf den Atlantik hinaus, wobei er noch den Südosten der Bahamas überquert.
Einige Bilder der schweren Schäden auf Jamaika:
Black River Anglican Church…built in the 1700s…gone. I was christened in that church. My grandmother and I used to go to church every Sunday as a child. My mom still has a certificate my grandmother got from Sunday School in 1937. 😢😢😢. pic.twitter.com/F21MrfkgyZ
— Hester Prynne ❤️💕 (@nwadeema) October 29, 2025
Video of the destruction and flooding in Black River from the Jamaica Constabulary pic.twitter.com/WFDZDR7Sy4
— Volcaholic 🌋 (@volcaholic1) October 28, 2025
BREAKING: Aftermath of monster Category 5 Hurricane Melissa in Black River, Jamaica pic.twitter.com/TkiyTMLj8R
— Insider Paper (@TheInsiderPaper) October 29, 2025
High Street Black River pic.twitter.com/eDtOvg8BN4
— 🚶🏽♂️ (@DiggleMassyca) October 29, 2025
A look at the devastating power loss across Jamaica following the historic crossing of Hurricane Melissa, captured by NOAA-21. pic.twitter.com/9xg6HavjmV
— CIRA (@CIRA_CSU) October 30, 2025
The terrific force of a Cat 5. #Hurricane #MELISSA's winds and storm threw a boat, car, & building together in a brutal mashup. This is in the Galleon Beach neighborhood of Crawford #Jamaica. pic.twitter.com/7AkWdyC4aG
— Josh Morgerman (@iCyclone) November 1, 2025
NEW: Devastating imagery from Jamaica, before & after Category 5 Hurricane Melissa.
— Nahel Belgherze (@WxNB_) October 29, 2025
White House — Landfall point. pic.twitter.com/SUiQrOjnIb
Titelbild: Tropical Tidbits
Ausführliche Informationen zu Unwettern aller Art und anderen Naturgewalten gibt es auf meiner umfangreichen Internetseite:
