Zum Inhalt springen
Dienstag, 2. Dezember 2025
Aktuelles:
  • Hurrikansaison 2025 geprägt durch MELISSA
  • Taifunsaison Philippinen und Vietnam
  • Oktober meist grau und nass
  • Schweres Erdbeben in Afghanistan
  • Ein Hurrikan für die Geschichtsbücher

Unwetteragentur

powered by Thomas Sävert

  • Impressum
  • Datenschutzerklärung
  • Kategorien
  • Naturgewalten

Monat: August 2025

Erdbeben 

Sehr schweres Erdbeben in der Drake-Passage

Freitag, 22. August 2025Freitag, 22. August 2025 Thomas Sävert 0 Kommentare Antarktis, Argentinien, Chile, Drake, Erdbeben

Am Freitag hat gegen 04:16 Uhr MESZ (= 22:16 Uhr Ortszeit am Donnerstag) ein sehr schweres Erdbeben den Meeresboden in

Weiterlesen
Tropen 

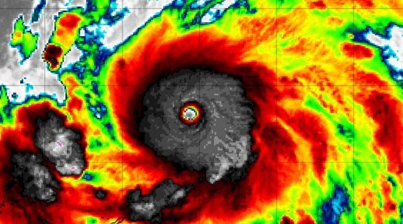
ERIN extrem starker Hurrikan

Samstag, 16. August 2025Samstag, 27. September 2025 Thomas Sävert 0 Kommentare Bahamas, Bermuda, Erin, Hurrikan, Karibik

Nur wenige Hundert Kilometer von den Karibischen Inseln entfernt verstärkt sich derzeit der Hurrikan ERIN extrem stark. Die mittleren Windgeschwindigkeiten

Weiterlesen
Tropen 

ERIN erster Atlantik-Hurrikan?

Montag, 11. August 2025Montag, 11. August 2025 Thomas Sävert 0 Kommentare Erin, Hurrikan, Kapverden, Sturm, Tropensturm

Die Hurrikansaison kommt nun mehr in Gang. Direkt bei den Kapverdischen Inseln, dicht vor der afrikanischen Westküste, hat sich der

Weiterlesen
Rückblick Wetter allgemein 

Juli sehr wechselhaft

Freitag, 8. August 2025Freitag, 8. August 2025 Thomas Sävert 0 Kommentare Juli, Rückblick, Sommer

Mit etwas Verspätung und in neuem Gewand, da die bisher verwendeten Karten nicht mehr zur Verfügung stehen. Der zweite Sommermonat

Weiterlesen

ARCHIV

KALENDER

August 2025
M D M D F S S
 123
45678910
11121314151617
18192021222324
25262728293031
« Juli   Sep. »

Kategorien

Über die Unwetteragentur

Logo
Hier wird über Wetter und Unwetter sowie viele weitere Naturgewalten berichtet. Dazu zählen Naturkatastrophen wie Hurrikane, Tornados, Vulkanausbrüche, Erdbeben, Lawinen, Meteoriten etc., aber auch zu Sonnenflecken, Polarlicht und Unglücken in der Luft, auf Wasser und Straßen.

Nützliche Links

  • Naturgewalten
  • Hurrikan-FAQ
  • Tornadoliste Deutschland
  • Tornado-FAQ
  • Jahres-Rückblicke
  • Erdbeben
  • Polarlicht-Galerie

Naturgewalten

Copyright © 2025 Unwetteragentur. Alle Rechte vorbehalten.
Theme: ColorMag von ThemeGrill. Bereitgestellt von WordPress.