Hurrikansaison 2025 geprägt durch MELISSA
Die nordatlantische Hurrikansaison 2025 war im Vergleich zum langjährigen Mittel auf den ersten Blick eine fast durchschnittliche Saison, die aber geprägt war durch mehrere extrem starke Hurrikane. Ursprünglich war unter anderem wegen des Kaltwasserphänomens La Niña im Ostpazifik und sehr hohen Wassertemperaturen nahezu im gesamten Atlantik von den meisten Experten eine sehr aktive Saison mit zahlreichen Stürmen erwartet worden. Bisher wurden auf dem Nordatlantik 13 Stürme registriert, davon 5 Hurrikane, von denen sich 4 zu starken Hurrikanen der Kategorie 3 und höher verstärkten. Alle vier starken Hurrikane (ERIN, GABRIELLE, HUMBERTO, MELISSA) durchliefen eine Phase der rapiden Intensivierung, sie verstärkten sich über dem stark aufgeheizten Wasser extrem schnell – ein Phänomen, das immer häufiger beobachtet wird. Der Hurrikan MELISSA richtete unter anderem in Haiti, Jamaika und Kuba teils schwerste Zerstörungen an. Im langjährigen Mittel der Jahre 1991 bis 2020 wurden während der offiziell vom 01. Juni bis zum 30. November dauernden Saison 13 Stürme beobachtet, davon 6 Hurrikane, von denen 3 zu starken Hurrikanen werden.

Betrachtet man die Accumulated Cyclone Energy (ACE, aufsummierte Hurrikanenergie), die Stärke und Dauer aller Stürme berücksichtigt, lag die Aktivität im Jahr 2025 mit einem vorläufigen Wert von 133 um 14 Prozent über dem Mittel der Jahre 1991 bis 2020. Damit lagen 9 der vergangenen 1 Jahre über dem langjährigen Mittel. Die angerichteten Schäden beliefen sich in 2025 auf einige Milliarden US-Dollar, der größte Teil davon durch den Hurrikan MELISSA. Die Zahl der Hurrikantoten erreichte etwa 100, die meisten davon durch MELISSA in Haiti und Jamaika.
Der erste Sturm der nordatlantischen Hurrikansaison 2025 war ANDREA, der am 23. Juni mitten auf dem Atlantik entstand und kein Land bedrohte. Bereits am folgenden Tag löste sich der Sturm wieder auf. Erhebliche Auswirkungen gab es durch den zweiten Sturm der Saison. BARRY bildete sich im äußersten Süden des Golfs von Mexiko aus einem Tief, das zuvor die Halbinsel Yucatan überquert hatte. Der Sturm traf am 29. Juni bei Tuxpan im Bundesstaat Veracruz auf Land. Besonders große Regenmengen fielen an der Ostküste Yucatans. Aus dem mexikanischen Bundesstaat Quintana Roo wurden bis zu 428 Liter Regen pro Quadratmeter innerhalb von 24 Stunden gemeldet. Hier und in Belize kamen durch schwere Überschwemmungen mindestens 5 Menschen ums Leben.
Am 06. Juli traf der Tropensturm CHANTAL auf die Küste von South Carolina an der Ostküste der USA. Die Hauptgefahr ging dabei von starken Regenfällen mit schweren Überschwemmungen aus. Insgesamt 6 Tote wurden gemeldet, darunter vier Menschen, die in ihren Autos ertranken. Der Tropische Sturm DEXTER entstand am 04. August vor der Ostküste der OSA. Er blieb schwach und zog ohne Landbedrohung auf den Atlantik hinaus.

Direkt im Bereich der Kapverdischen Inseln formierten sich am 10. August heftige Schauer und Gewitter zu einem tropischen Tief, das vor allem auf der Insel Sao Vicente schwerste Überschwemmungen auslöste. An der Wetterstation auf der Insel wurden allein an diesem Tag 192,3 Liter Regen pro Quadratmeter gemessen. Bei den Überschwemmungen kamen allein auf Sao Vicente mindestens 9 Menschen ums Leben, weitere 5 wurden als vermisst gemeldet. Am 11. August wurde das Tief zum Tropischen Sturm ERIN heraufgestuft, während es sich von den Kapverden entfernte. Auf dem Weg über den Atlantik verstärkte sich der Sturm zunächst nur langsam, wurde aber am 15. August zum ersten Hurrikan der Saison. Quasi über Nacht gab es dicht nördlich der Kleinen Antillen eine explosive Entwicklung zu einem Hurrikan der höchsten Kategorie 5 mit mittleren Windgeschwindigkeiten bis etwa 260 km/h bei einem Kerndruck von 915 Hektopascal. Der Hurrikan schwächte sich durch interne Prozesse wieder ab und drehte nach Nordwesten und Norden ab, ohne direkt Land zu bedrohen. Meterhohe Wellen trafen auf die Küsten der nördlichen Kleinen Antillen, der Dominikanischen Republik – wo ein Schwimmer starb – und die gesamte Ostküste der USA. Hier gab es einige Schäden durch Hochwasser und Wellen. Auf dem Nordatlantik wandelte sich ERIN in ein starkes außertropisches Tief um.
Ebenfalls im August bildete sich mitten auf dem Atlantik der Tropensturm FERNAND, der die meiste Zeit recht schwach blieb und kein Land bedrohte. Nach wenigen Tagen ging der Sturm am 28. August in ein außertropisches Tief auf. Danach stellte sich mitten in der Hurrikansaison eine ungewöhnliche, wochenlange Pause ein. Erst Mitte September entstand etwa auf jalber Strecke zwischen den Kleinen Antillen und Westafrika der Sturm GABRIELLE, der zunächst unter ungünstigen Höhenwinden schwach blieb. Dies änderte sich am 19. September und bis zum 21. verstärkte sich der Sturm weit nördlich der Kleinen Antillen zu einem Hurrikan. Quasi über Nacht erreichte der Hurrikan wenige Hundert Kilometer südöstlic von Bermuda mit mittleren Windgeschwindigkeiten bis etwa 220 km/h die zweithöchste Kategorie der Hurrikanskala. Im weiteren Verlauf schwächte sich der Hurrikan rasch wieder ab und Reste des Sturms streiften noch die Azoren und trafen auf die Iberische Halbinsel.
Parallel zur Entwicklung des Hurrikans Gabrielle zog am 19. September eine tropische Welle von Westafrika auf den Ostatlantik hinaus. Bereits am 24. September formierte sich daraus der Tropische Sturm HUMBERTO, der zum 26. September auf dem offenen Ozean zum nächsten Hurrikan wurde. Nach explosiver Entwicklung erreichte Humberto am 27. September als zweiter Hurrikan der Saison die höchste Kategorie 5, aber ohne Land zu bedrohen. Unter Abschwächung zog der Hurrikan nordwestlich an Bermuda vorbei. Die feuchte Luft im Bereich des ehemaligen Hurrikans trug zu der Bildung eines außertropischen Orkantiefs bei, das vor allem West- und Nordeuropa mit teils schweren Orkanböen traf.
Auch der nächste Sturm mit dem Namen IMELDA verstärkte sich Ende September zu einem Hurrikan. Zunächst überquerte ein tropisches Tief die nördlichen Kleinen Antillen und die Insel Hispañiola mit der Dominikanischen Republik und Haiti. Auch in Puerto Rico traten heftige Regenfälle auf, wobei ein Mann ums Leben kam. Erst am 28. September wurde aus dem Tief im Bereich der Bahamas der Sturm IMELDA, der sich zwei Tage später zu einem Hurrikan entwickelte. Meterhohe Wellen trafen auf die Ostküste der USA und ließen in North Carolina acht Häuser einstürzen. Am 01. Oktober erreichte der Hurrikan mit mittleren Windgeschwindigkeiten bis etwa 155 km/h kurzzeitig die Kategorie 2, während er Bermuda traf. Danach zog er auf den Atlantik hinaus und wandelte sich rasch zu einem außertropischen Sturmtief um.
Weit östlich der Kleinen Antillen formierte sich am 07. Oktober der Tropische Sturm JERRY, der die nördlichen Inseln mit Starkregen und Sturmböen streifte. Auf Antigua und Barbuda wurden bis zu 230 Liter Regen pro Quadratmeter gemessen. Auf der Insel Guadeloupe starb ein Mann, dessen Auto von den Fluten weggeschwemmt wurde. Am 10. Oktober entstand mitten auf dem Atlantik der Subtropische Sturm KAREN, der nicht nur tropische Eigenschaften aufwies und sich rasch wieder abschwächte. Ebenfalls ein so genannter „Fischsturm“ ohne Landbedrohung blieb der Tropische Sturm LORENZO wenige Tage später.
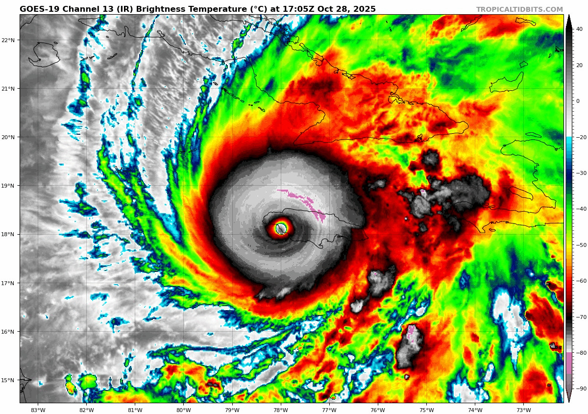
Der stärkste Hurrikan der Saison mit dem Namen MELISSA dürfte in die Wettergeschichte eingehen. Am 19. Oktober zog eine tropische Wellenstörung rasch über die Kleinen Antillen hinweg in die Karibik und wurde hier zeitweise fast stationär. Die zunächst ungünstigen westlichen Höhenwinde schwächten sich kaum ab, dennoch entstand am 21. Oktober dicht nördlich der niederländischen Antillen der Sturm Melissa, der zunächst schwach blieb.
Das Wasser der zentralen Karibik war mit 30 bis 31 Grad extrem warm und lieferte reichlich Energie. Als sich der Höhenwind deutlich abschwächte, setzte am 25. Oktober eine Phase der extremen Verstärkung ein. Am 26. Oktober erreichte der Hurrikan die Kategorie 4 und später sogar die höchste Kategorie der fünfteiligen Hurrikanskala. MELISSA drehte zum 27. Oktober nach Norden ein und wurde immer stärker. Der Hurrikan verstärkte sich, bis er am 28. Oktober bei der Stadt Black River im Südwesten von Jamaika mit mittleren Windgeschwindigkeiten bis etwa 295 km/h und noch deutlich stärkeren Böen auf Land traf. Der Luftdruck im Zentrum sank kurz vor dem „landfall“ auf 892 Hektopascal.
In die Wettergeschichte geht MELISSA durch mehrere Extreme ein, wobei einige Parameter noch längere Zeit Gegenstand der Forschung sein dürften. Gleichauf mit dem Hurrikan DORIAN (2019) und dem so genannten „Labour day Hurricane“ (1935) wies er die höchsten Windgeschwindigkeiten in einem atlantischen Hurrikan seit Beginn der Aufzeichnungen auf. Mit 892 Hektopascal sank der Luftdruck nach WILMA 2005 (882 Hektopascal) und GILBERT 1988 (888 Hektopascal) auf den dritttiefsten Wert, zusammen mit dem Hurrikan von 1935. Schaut man sich den Luftdruck zum Zeitpunkt des Landfalls an, liegt MELISSA dicht hinter dem Hurrikan von 1935 zumindest vorläufig auf Platz 2.

Die Animation der Satellitenbilder zeigt eindrucksvoll das Auge im Zentrum des Hurrikans, während er den Westen der Insel Jamaika überquerte (Quelle: Tropical Tidbits). Der Hurrikan zog weiter nach Norden bis Nordosten und streifte dabei auch die Stadt Montego Bay. Bei Salt Marsh im Nordwesten des Landes zog er auf das Meer hinaus und erreichte in der Nacht zum 29. Oktober deutlich abgeschwächt mit Windgeschwindigkeiten bis etwa 195 km/h (Kategorie 3) den Osten von Kuba. Damit war es immer noch ein starker Hurrikan, der die Stadt Chivirico westlich von Santiago de Cuba traf. Die Region um Santiago wurde – soweit bekannt – erst zweimal von starken Hurrikanen getroffen. Beide waren aus Richtung Osten herangezogen. Nach Kuba zog der Hurrikan auf den Atlantik hinaus, wobei er noch den Südosten der Bahamas überquerte und Bermuda streifte.
Durch MELISSA kamen in der Karibik zahlreiche Menschen ums Leben. Allein in Haiti waren es mindestens 40 Tote nach schweren Überschwemmungen und Erdrutschen. In der Dominikanischen Republik waren mehr als eine Million Haushalte von der Wasserversorgung abgeschnitten.
Es folgt eine Übersicht mit allen Tropischen Depressionen, Tropischen Stürmen und Hurrikanen der nordatlantischen Hurrikansaison 2025:
| Nr. | TS/H | Name | Kat. | Zeit | Wind | Druck | Landfall | Tote | Schäden |
| 1 | TS | ANDREA | – | 23.06.-24.06. | 65 | 1014 | — | 0 | — |
| 2 | TS | BARRY | – | 28.06.-30.06. | 75 | 1006 | Mexiko | 5 | Erhebliche Schäden in Mexiko und Belize |
| 3 | TS | CHANTAL | – | 04.07.-07.07. | 95 | 1002 | South Carolina | 6 | ca. 500 Mio US-Dollar |
| 4 | TS | DEXTER | – | 04.08.-07.08. | 85 | 998 | — | 0 | — |
| 5 | H | ERIN | 5 | 11.08.-22.08. | 260 | 915 | Kapverden | 9 | n.bek. |
| 6 | TS | FERNAND | – | 23.08.-28.08. | 95 | 1000 | — | 0 | — |
| 7 | H | GABRIELLE | 4 | 17.09.-25.09. | 220 | 948 | Azoren (Sturmreste) | 0 | >10 Mio. |
| 8 | H | HUMBERTO | 5 | 24.09.-01.10. | 260 | 924 | — | 0 | — |
| 9 | H | IMELDA | 2 | 27.09.-02.10. | 155 | 966 | Bahamas | 2 | >10 Mio. US-Dollar |
| 10 | TS | JERRY | – | 07.10.-11.10. | 100 | 999 | nördliche Kleine Antillen | 0 | n.bek. |
| 11 | STS | KAREN | – | 10.10.-10.10. | 75 | 998 | — | 0 | — |
| 12 | TS | LORENZO | – | 13.10.-15.10. | 95 | 999 | — | 0 | — |
| 13 | H | MELISSA | 5 | 21.10.-31.10. | 295 | 892 | Jamaika, Kuba, Bahamas, Bermuda | >50 | n.bek. |
(Alle Angaben ohne Gewähr; T.D. = Tropische Depression / hat keine Sturmstärke erreicht, T.S. = Tropischer Sturm; Kategorie nach der Saffir-Simpson-Skala, maximaler Mittelwind in km/h, Druck = tiefster festgestellter Luftdruck im Zentrum in Hektopascal).
Titelbild: Tropical Tidbits
Ausführliche Informationen zu Unwettern aller Art und anderen Naturgewalten gibt es auf meiner umfangreichen Internetseite:
<!– wp:tadv/classic-paragraph –>
<p>Der Taifun KALMAEGI hat in den vergangenen Tagen bereits eine Katastrophe auf den Philippinen ausgelöst, Dutzende Menschen kamen bei Überschwemmungen und Erdrutschen ums Leben. Nun zieht der Taifun weiter nach Vietnam, wo vor allem in den zentralen Landesteilen schwere Überschwemmungen befürchtet werden. Gebetsweise können innerhalb eines Tages mehr als 300 Liter Regen pro Quadratmeter fallen. Und östlich der Phlippinen braut sich bereits der nächste Taifun zusammen, der ebenfalls Kurs auf die Philippinen nimmt. Im Oktober und vor allem November lenkt die großräumige Strömung immer wieder Taifune direkt nach Westen über die Philippinen hinweg und oft auch weiter bis nach Vietnam.</p>
<p><script async=““ src=“https://pagead2.googlesyndication.com/pagead/js/adsbygoogle.js?client=ca-pub-7185738552446239″ crossorigin=“anonymous“></script><br /><ins class=“adsbygoogle“ style=“display: block; text-align: center;“ data-ad-layout=“in-article“ data-ad-format=“fluid“ data-ad-client=“ca-pub-7185738552446239″ data-ad-slot=“6982746092″></ins><br /><script><br />
(adsbygoogle = window.adsbygoogle || []).push({});<br />
</script></p>
<img class=“wp-image-10196 size-full“ src=“https://unwetteragentur.de/wp-content/uploads/2025/11/251105kalmaegi_satanim.gif“ alt=““ width=“1200″ height=“845″ /> Animation der Satellitenbilder des Taifuns KALMAEGI, Quelle: Tropical Tidbits
<p>Die Animation der Satellitenbilder zeigt eindrucksvoll, wie sich zeitweise ein Auge im Zentrum des Taifuns ausbildet. Derzeit weist KALMAEGI mittlere Windgeschwindigkeiten bis etwa 165 km/h auf mit noch stärkeren Böen und er könnte noch etwas stärker werden.</p>
<p><img class=“aligncenter size-full wp-image-10197″ src=“https://unwetteragentur.de/wp-content/uploads/2025/11/251105kalmaegi_zugbahn.gif“ alt=““ width=“2137″ height=“1467″ /></p>
<p> </p>
<p>Die Karte des Joint Typhoon Warning Centers zeigt die erwartete Zugbahn von den Philippinen bis zum südostasiatischen Festland.</p>
<img class=“wp-image-10198 size-full“ src=“https://unwetteragentur.de/wp-content/uploads/2025/11/251105kalmaegi_regensummen.png“ alt=““ width=“800″ height=“633″ /> Regenmengen bis Freitag, 07.11.2025, 7 Uhr MEZ, Quelle: Tropical Tidits
<p> </p>
<p>In den gelb markierten Bereichen können innerhalb eines einzigen Tages mehr als 300 Liter Regen pro Quadratmeter fallen, was zu größeren Überschwemmungen führen kann. Der Taifun erreicht voraussichtlich im Laufe des Donnerstags die Küste von Vietnam.</p>
<p>Titelbild: Tropical Tidbits</p>
<p>Ausführliche Informationen zu Unwettern aller Art und anderen Naturgewalten gibt es auf meiner umfangreichen Internetseite:</p>
<p><a href=“http://www.naturgewalten.de/“ target=“_blank“ rel=“noopener noreferrer“><img class=“aligncenter wp-image-30 size-full“ src=“http://unwetteragentur.de/wp-content/uploads/2018/10/banner1.jpg“ alt=““ width=“550″ height=“70″ /></a></p>
<p><script src=“//pagead2.googlesyndication.com/pagead/js/adsbygoogle.js“ async=““></script><br /><!– Unwetteragentur content –><br /><ins class=“adsbygoogle“ data-ad-client=“ca-pub-7185738552446239″ data-ad-slot=“4417261230″></ins><br /><script><br />
(adsbygoogle = window.adsbygoogle || []).push({});<br />
</script></p>
<!– /wp:tadv/classic-paragraph –>
