Wetter allgemein



Oktober meist grau und nass
Alles andere als golden zeigte sich der Oktober 2025 in Deutschland. Vor allem um die Monatsmitte bestimmte am Rande eines
Tropen



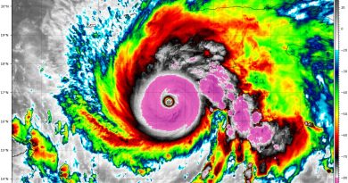
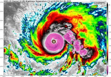
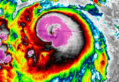
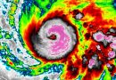
Hurrikansaison 2025 geprägt durch MELISSA
Die nordatlantische Hurrikansaison 2025 war im Vergleich zum langjährigen Mittel auf den ersten Blick eine fast durchschnittliche Saison, die aber
Tornados



Mindestens 43 Tornados in 2023
Am Wochenende (16.03.2024) fand eine Nachbesprechung der Tornado-Arbeitsgruppe Deutschland zur Tornadosaison im vergangenen Jahr statt, zahlreiche Fälle konnten diskuriert und
Erdbeben



Schweres Erdbeben in Afghanistan
Am Sonntag hat gegen 21:29 Uhr MEZ (= 00:59 Uhr Ortszeit am Montag) ein schweres Erdbeben den Norden Afghanistans erschüttert.



















