Wetter allgemein



Januar winterlich, zum Teil viel Schnee
Der erste Monat des Jahres 2026 war in Deutschland im Vergleich zu den Vorjahren deutlich winterlicher, im deutschlandweiten Flächenmittel war
Tropen



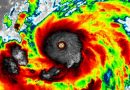
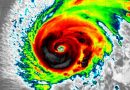
Hurrikansaison 2025 geprägt durch MELISSA
Die nordatlantische Hurrikansaison 2025 war im Vergleich zum langjährigen Mittel auf den ersten Blick eine fast durchschnittliche Saison, die aber
Tornados



Mindestens 43 Tornados in 2023
Am Wochenende (16.03.2024) fand eine Nachbesprechung der Tornado-Arbeitsgruppe Deutschland zur Tornadosaison im vergangenen Jahr statt, zahlreiche Fälle konnten diskuriert und
Erdbeben



Schweres Erdbeben in Mexiko
Am Freitag hat gegen 14:58 Uhr MEZ (= 07:58 Uhr Ortszeit) ein schweres Erdbeben den Süden Mexikos erschüttert. Das Beben



















